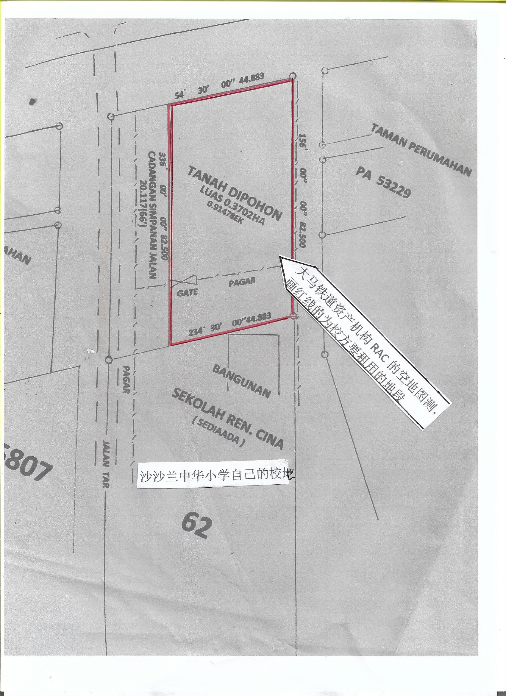
郭坤成:校外保留地属RAC机构 “沙沙兰中华有自己校地”



(丹绒加弄16日讯)沙沙兰中华小学董事长郭坤成今日指出,沙沙兰中华小学有自己的校地,校舍和大礼堂就是建在自己的土地上,而早前被指使用权获延长15年的保留地,其实是该校大门口外,属于大马铁道资产机构Railway Assets Corporation(RAC)的保留地,而不是华小的校地。
他今日和家教协会主席潘保安及董事李瑞昆到学校巡视后发布这项声明,希望纠正错误讯息以正视听,也借此消除关心和爱护沙沙兰中华小学人士的疑虑和不安。
ADVERTISEMENT
他强调:“沙沙兰中华小学有自己的校地,地段号码为Lot 62,PA26826,面积1万2620平方公尺,校舍和大礼堂就是建在自己的土地上,校方存有地契可资佐证,绝对没有所谓‘获得延长15年使用权’这回事。”
租用保留地建有盖篮球场
他说,早前有指沙沙兰中华小学是建在大马铁道资产机构RAC的保留地上,获准延长使用权15年,那是错误的讯息。
“其实那是本校大门口外, 属于RAC机构的土地。本校董事部曾向该机构商讨租用做建有盖篮球场之用, 面积为0.91478依格。”
他补充,有关租用这块保留地的条件、租金和年限等细则,地主和校方双方经过重新商讨后,已达致共识,取得满意的结果,即每月50令吉租金和15年期限租给中华小学建有盖篮球场。


ADVERTISEMENT
热门新闻
百格视频
ADVERTISEMENT
