“苏拉”台风眼又大又圆! 专家:庆幸台湾闪过“完美风暴”



(台北31日综合电) 台风“苏拉”来袭未登陆台湾,仅从巴士海峡掠过台湾南端,周三深夜已解除陆上台风警报。台湾气象专家彭启明在社群平台发文称,庆幸台湾能闪过苏拉台风,因为苏拉的台风眼十分清晰,“科学上是一个完美风暴”。
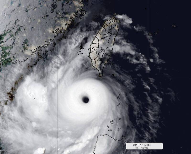
天气风险公司总经理彭启明周三晚在脸书发文指出,“苏拉”台风眼清晰可见、眼墙延伸的暴风圈又厚实,在科学上是一个完美风暴。
ADVERTISEMENT
从他的文章附图可以看到,体积庞大的“苏拉”台风从巴士海峡掠过台湾,而它的台风眼可以说是“又大又圆”,眼墙部分甚至还隐约有一种“层次感”。
不少网民也在底下留言,赞叹“苏拉”的台风眼“很好看”,也有网民感叹:“天佑台湾,这一进来,一定是强风扫落叶,不稳固的物体,通通都会东倒西歪。”一名网民更点出:“(苏拉台风)中心气压915百帕,真的太吓人了!”
ADVERTISEMENT
热门新闻
百格视频
ADVERTISEMENT
